【Lumerical系列】无源器件-复用器件(3)丨模式(解)复用器
2026年1月27日 14:38本期是Lumerical系列中无源器件专题-复用器件的第三期,涉及的器件是模式(解)复用器,该器件基于逆向设计,采用的是DBS算法进行优化。本文将从该器件的研究背景进行介绍,然后给出所设计器件的初始结构以及工作原理,提出了两种子单元类型的功能区,包括圆形子单元和方形子单元,采用DBS算法对其功能区进行优化,最后将两种结构的性能进行对比。
背景介绍
模分复用(MDM)技术是利用多种正交模式作为通信信道,这些信道之间互不干扰,可以显著提高传输容量,成为解决容量问题的有效方案。其中,模式(解)复用器是最基本的器件,它能将多个分支波导中的基模复用到同一个总线波导中的高阶模进行并行传输,反之也能将总线波导中的高阶模分解为多个分支波导中的基模。
现有的硅基模式(解)复用器包含多种结构,按照其工作原理可分为模式耦合型和模式转化型。其中模式耦合型的结构包括非对称定向耦合器(ADC)、微环谐振器(MRR)以及光栅辅助耦合器(GACs)。这些结构通常具有较小的尺寸以及低损耗的特性。ADC结构可以通过级联扩展为多个模式,而MRR结构可以实现模式和波长的混合(解)复用。然而,这些基于模式耦合的结构需要严格的相位匹配条件,这会导致较窄的工作带宽。基于模式转化的结构包括绝热耦合器(AC)、Y分支、多模干涉(MMI)耦合器等。这些结构可以实现相对较宽的工作带宽,大于50 nm,甚至高达100 nm。然而,这些结构需要足够的长度来完成模式转化,往往会导致较大的器件尺寸。最近,又兴起一种基于逆向设计的模式(解)复用器,虽然已经报道了多种基于逆向设计的高集成度模式(解)复用器,但为了进一步减小器件的尺寸,本篇文章将逆向设计的功能单元与AC结构相结合,增强了模式转化的效率,可以显著减小器件长度。
结构设计及工作原理
所提出的硅基模式(解)复用器的示意图在图1中给出,其由三个部分组成:双模输入波导、中间功能区以及两个单模输出波导。中间功能区包括两个锥形波导和一个位于它们之间的子单元阵列。通过中心子单元阵列的逆向设计,可以大大增强两个锥形波导之间的模式相互作用强度,从而减小器件长度。
图1 基于逆向设计的绝热耦合器的模式(解)复用器示意图
工作原理:以 和 模式为例,当 模式从端口I输入时,它通过功能区中的下锥形波导演化为端口 中的 模式,当 模式从端口I输入时,由于波导宽度逐渐变窄,其模场分布在传输到功能区中的下锥形波导时被压缩,该模式会泄漏到子单元阵列区域中,并耦合到上锥形波导并转化成端口 中的 模式。
优化算法过程
图2为本文基于圆形子单元设计的模式(解)复用器结构示意图。该器件是设计在硅芯层厚度为220 nm的绝缘体上硅(SOI)上。
图2 基于圆形子单元模式(解)复用器结构示意图
其中,中心子单元阵列的优化设计在 和 模式的转化中起着关键作用。本篇文章使用DBS算法对子单元阵列进行设计优化,该阵列包含8×40个子单元。此外,为了比较子单元形状对模式转化的影响,本文分别优化了圆形和方形子单元阵列的设计。基于DBS算法的逆向设计步骤包括:1. 设置品质因数(FOM):

其中 表示从端口 输出 模式的功率, 表示从端口 输出 模式的功率, 和 分别表示端口I输入的 和 模式的功率。
2. 确定优化区域,并给出子单元的0/1矩阵的初始分布。其中0和1分别表示二氧化硅和硅材料。
3. 从第一个子单元开始,使用3D-FDTD计算每个子单元的FOM值,并选择具有较大FOM值的材料类型,直到计算出最后一个子单元,完成一次迭代。
4. 重复多次迭代,直到FOM达到阈值或不再增加,获得优化后的器件结构。
结果与对比
图3给出了该结构功率传输和FOM随迭代次数的变化。可以看出,随着迭代次数的增加, 模式的透射率和FOM值都增加,而 模式的透射率变化很小。在第三次迭代后,最终FOM为1.87,此时, 和 模式在中心波长1550 nm处的插入损耗分别计算为0.27 dB和0.33 dB。同时,该模式解复用器分别输入 和 模式时,其磁分量如图4(a)和(b)所示。
图3 功率传输和FOM随迭代次数的变化
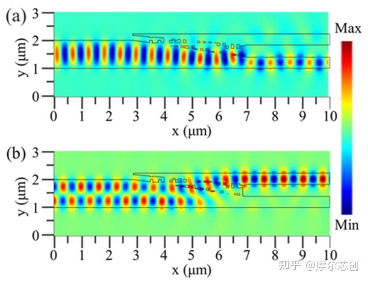
图4 基于圆形子单元的模式解复用器在输入TE0和TE1模式时的磁分量分布
定义该器件串扰(CT)为:
其中, 和 分别是 和 模式的串扰; 和 分别是端口 和 的输出功率。通过3D-FDTD方法计算不同波长下模式解复用器的传输谱如图5所示。结果表明,在1.5-1.6 µm的波长范围内,输入 模式的插入损耗和模式串扰分别小于0.33 dB和-15.53 dB;输入 模式的插入损耗和串扰分别小于0.59 dB和-16.0 dB。
图5 基于圆形子单元的模式解复用器中TE0和TE1模式的传输谱
为了比较子单元形状对模式解复用性能的影响,本文用方形子单元代替圆形子单元。与紧密排列的圆形子单元相比,紧密排列的方形子单元之间的间距更适合制造工艺的要求。图6给出了基于方形子单元阵列的模式(解)复用器结构示意图。
图6 基于方形子单元模式(解)复用器结构示意图
为了比较两种结构之间的差异,需保持两种结构的其他参数相同。结果表明,对于方形子单元阵列,仅需一次迭代即可达到最佳FOM阈值。此时,两种模式的磁分量分布如图7(a)和(b)所示。
图7 基于方形子单元的模式解复用器在输入TE0和TE1模式时的磁分量分布
基于方形子单元的模式解复用器的传输谱如图8所示。结果表明,在1.5-1.65 μm波长范围内,输入 模式的插入损耗和串扰分别小于0.74 dB和-15.51 dB;输入 模式的插入损耗和串扰分别小于1.83 dB和-9.42 dB。与圆形子单元阵列的结构相比,尽管方形子单元阵列在容差和制造要求上有优势,但圆形子单元阵列具有更小的插入损耗和模式串扰。
图8 基于方形子单元的模式解复用器中TE0和TE1模式的传输谱
结论
提出并比较了两种基于逆向设计的高度集成度的模式(解)复用器。该器件的功能区采用DBS算法进行优化,优化后的器件尺寸仅为4 µm × 1.25 µm。比较两种结构可知,尽管方形子单元阵列在容差和制造要求上有优势,但圆形子单元阵列具有更小的插入损耗和模式串扰。所提出的超紧凑模式(解)复用器可以为片上MDM系统提供潜在的模式控制设备,大大减少了片上系统的占用空间。
Lumerical软件试用,欢迎联系摩尔芯创。
参考文献:
[1] Jiang, Weifeng, Siqiang Mao, and Jinzhu Hu. "Ultra-Compact Silicon Mode (De) Multiplexer Using Inverse-Designed Adiabatic Coupler." Journal of Lightwave Technology 42.5 (2024): 1573-1579.
工程师必备
- 项目客服
- 培训客服
- 平台客服
TOP









![ANSYS/ABAQUS使用(带孔平板拉伸实例)[初识有限元CAE分析]](https://img.jishulink.com/cimage/0c683776c596fd2f7dde46fd773a666b_cdn.jpg?image_process=resize,fw_576,fh_320,)










